154339257
一寸のハエにも五分の大和魂・改
[トップに戻る] [新着順表示] [アルバム] [留意事項] [ワード検索] [過去ログ] [旧過去ログ] [管理用]
1: 双翅目でよろしいでしょうか? (2) / 2: ミギワバエ? (2) / 3: ユスリカ? (2) / 4: 双翅目談話会第28回総会 (0) / 5: シラホシハマダラミバエとタテジマハマダラミバエ (4) / 6: Syritta属のどれかでしょうか (3) / 7: ハヤトビバエ科? (8) / 8: Insecta matsumurana 終刊 (0) / 9: オドリバエ科でしょうか (4) / 10: 写真のハエについてご教示ください。 (2) / 11: フトハチモドキバエについて (3) / 12: シマバエ? (3) / 13: ヤドリバエ科? (7) / 14: ケブカミバエでしょうか? (7) / 15: 観察例の共有ありがとうございます (0) / 16: 教えてください 不明ハエ目 (2) / 17: 丁寧なやり取りがとても参考になりました (0) / 18: 興味深い比較写真ですね (0) / 19: 不明ハナアブ類について (2) / 20: ナミホシヒラタアブ?フタホシヒラタアブ? (3) /

おなまえ
Eメール
タイトル
コメント
コメント内には下記と同じURLを書き込まないで下さい
参照URL
添付File  (100kBまで)
暗証キー (英数字で8文字以内)
投稿キー (投稿時 投稿キー を入力してください)
文字色

オドリバエ科Rhamphomyiaの1種 投稿者: 投稿日:2007/02/03(Sat) 11:17 No.2980  引用 
 7月中旬に、茨城県北部の山間部の沢沿い(alt.380m)で採集したオドリバエです。

体長3.5mm。複眼は合眼的。acrは1〜2列、dcは1列です。Eorhamphomyia亜属か、Pararhamphomyia亜属ではないかと思います。

よろしくお願い致します。


Re: オドリバエ科Rhamphomyiaの1... 投稿者: 投稿日:2007/02/03(Sat) 11:19 No.2981  引用 
あまり特徴的でない交尾器のようです。

Re: オドリバエ科Rhamphomyiaの1... 投稿者:アノニモミイア 投稿日:2007/02/06(Tue) 19:58 No.2988  引用 
Pararhamphomyia亜属のことはほぼ確実です.交尾器がR. kashiiensisに類似していますが,何しろ発生期がこれは3月下旬から4月上旬ですから,この写真の種のように低標高地で7月中旬と言うのとは適合しません.いま少し,手持ちのPararhamphomyiaを調べてからお答えします.

Re: オドリバエ科Rhamphomyiaの1... 投稿者:アノニモミイア 投稿日:2007/02/06(Tue) 20:00 No.2989  引用 
Pararhamphomyia亜属のことはほぼ確実です.交尾器がR. kashiiensisに類似していますが,何しろ発生期がこれは3月下旬から4月上旬ですから,この写真の種のように低標高地で7月中旬と言うのとは適合しません.いま少し,手持ちのPararhamphomyiaを調べてからお答えします.

Re: オドリバエ科Rhamphomyiaの1... 投稿者: 投稿日:2007/02/07(Wed) 21:12 No.2991  引用 
アノニモミイア様。

急ぎませんので、時間が有るときで結構です。

また、写真だけでは判断出来ないことも多々有ると思われますので、必要があれば後で標本をお送り致します。

ありがとうございます。

クチキカ科Axymyiiidae 投稿者: 投稿日:2007/02/01(Thu) 08:23 No.2971  引用 
 昨年、朽木性のハナアブ狙いに持ち帰った広葉樹材より出てきたクチキカ科Axymyiiidaeです。
材は、茨城県北部の標高800m程のミズナラ林で、半ば沢に浸かってたものです。

 日本産は、ヤマトクチキカ Axymyia japonicaしか記録されていないようですが、旧北区のマニュアルを読むと、翅脈等からProtaxymyia属のようです。

如何でしょうか?


Re: クチキカ科Axymyiiidae 投稿者: 投稿日:2007/02/01(Thu) 08:30 No.2972  引用 
書き忘れましたが、体長は約7.5mm程です。

その他にも、翅脈と縁紋からするとMesaxymyia属ではないかと思われる体長4.5mm程の小型の種類も出ております。

こちらも会社から戻ったらupします。

よろしくお願い致します。

Re: クチキカ科Axymyiiidae 投稿者:アノニモミイア 投稿日:2007/02/01(Thu) 18:28 No.2973  引用 
写真の種は"Axymyia"japonica Ishidaの雄でしょう.日本からはこの1種のみが記録されていますが,このほかに本種に類似した2未記載種と真のProtaxymyia属の1未記載種が棲息しています.既知種のjaponicaと近似の2種は雌の産卵器の構造が従来知られている3属(Axymyia, Mesaxymyia, Protaxymyia)のいずれとも異なり,長く伸長していて,新属を創設する予定です.この未記載属に含まれる種は,他に台湾,中国雲南省,ミャンマーなどにも分布していますし,さらに北米西部の山地にもこれにやや似た1種が秋に発生します.A. japonicaは中胸小楯板が全面的に黄色で,翅がきれいなガラス様透明で,雄の後脛節が先端に向かって肥大し,後腿節や後脛節に生じるsetaeが粗い感じがするので他の2新種から区別できます.これら3種の幼虫や蛹も飼育で確認されており,蛹には種を区別するいくつかの形質を見出しています.ご経験のとおり,渓流などの水がいつもかかるようなところや,かなり湿潤な場所のやや堅い朽木に楕円形の切断面になる孔道を作って生活し,呼吸管と鰓の二つの呼吸器を持っています.幼虫の大顎は朽木を粉砕する構造を持たないので,おそらく孔道の中の微生物を餌にしているとも言われています.雄成虫はjaponicaでは樹間の空間でホバリング型の群飛をし,もう1種の未記載種は水平往復型の群飛を行います.雌は朽木の裂け目に産卵管を挿入して1−数個の楕円形の卵を生みます.
採集されているもう1種の小型の種というのには大変興味があります.

Re: クチキカ科Axymyiiidae 投稿者: 投稿日:2007/02/02(Fri) 00:16 No.2974  引用 
アノニモミイア様、回答ありがとうございます。

これが、ヤマトクチキカAxymyia japonicaなのですね。
近縁種などについての情報も大変ありがたいものです。ある程度は調べてみたのですが、日本固有種になると全く情報が無いものです。旧北区のマニュアルのAxymyiaに書かれていた"possibly also Japan"というのがなんとなく理解出来ました。

同じ材から脱出してきた、小型のクチキカらしき標本の写真を貼ります。触角が太いのが気になります。


Re: クチキカ科Axymyiiidae 投稿者:アノニモミイア 投稿日:2007/02/02(Fri) 08:14 No.2975  引用 
小型のクチキカは大変興味ある種です.雌の腹端が伸長していないので,ヤマトクチキカ群ではなくて,Axymyia, Mesaxymyia, Protaxymyiaと同じ形態をしています.九州ではProtaxymyiaの未記載種が棲息していますが,それより遥かに小型ですのでおそらく別種であろうと思います.同じ場所で続いて発生する傾向がありますので,本年も注意してみてください.

Re: クチキカ科Axymyiiidae 投稿者: 投稿日:2007/02/02(Fri) 12:08 No.2976  引用 
アノニモミイア様。

色々な情報ありがとうございます。

やはり、各先生方に双翅目各科の現状と問題点について尋ねずに、海外等の文献だけに頼るのも問題が有るようですね。

今後も色々と写真を貼っていきますので、よろしくお願い致します。

Leptopeza flaviantennalisでし... 投稿者: 投稿日:2007/01/30(Tue) 19:47 No.2966  引用 
 5月下旬に茨城県水戸市郊外の湿地(標高17m)で採集したLeptopeza flaviantennalisと思われるメスです。体長は約5mmです。よろしくお願い致します。


Re: Leptopeza flaviantennalis... 投稿者: 投稿日:2007/01/30(Tue) 19:55 No.2967  引用 
胸背には原記載のように両側が黒くなります。

「埼玉県昆虫誌」にL. flaviantennalisが収録され、当間山のオドリバエ科には小型の未知種が収録されています。それ以外にも未記載種などが日本に分布しているのでしょうか?


Re: Leptopeza flaviantennalis... 投稿者:アノニモミイア 投稿日:2007/01/31(Wed) 12:04 No.2968  引用 
同定されて通りLeptopeza falviantennalis Kato, 1971の雌です.しかし,本種とLeptopeza flavipes (Meigen, 1820)の間の相違は微妙で今後の検討課題です.また,当間山の小型の種はLeptopeza borealis Zettererstedt, 1842で,これは雌雄とも暗色です.この種は北海道から九州まで広く分布していますが,どちらかと言えば前種より山地性が強いようです.前種は北海道から九州まで低地から山地に広く分布しています,
Leptopezaはスイーピングで採集できますが,雄は林間の空地の地上1−2mの空間を数頭がゆっくりとホバリングしながら群飛します.

Re: Leptopeza flaviantennalis... 投稿者: 投稿日:2007/01/31(Wed) 19:02 No.2970  引用 
アノニモミイア様、早速回答頂きありがとうございました。

きれいな種類なので、オスも採れるように粘ってみます。

オドリバエ質問(Rhamphomyia) 投稿者: 投稿日:2007/01/29(Mon) 20:55 No.2959  引用 
5月上旬に、茨城県の標高約900mのブナ帯で採集したオドリバエ(Rhamphomyia)です。体長は約8.5mm。複眼は合眼的。acrは1〜2列、dcは4列です。よろしくお願い致します。




Re: オドリバエ質問(Rhamphomyia... 投稿者: 投稿日:2007/01/29(Mon) 20:57 No.2960  引用 
交尾器はadeagusが非常に太いのが目立ちます。

Re: オドリバエ質問(Rhamphomyia... 投稿者:アノニモミイア 投稿日:2007/01/30(Tue) 11:33 No.2964  引用 
 本種はRhamphomyia (Eorhamphomyia) grammoptera Frey, 1922の雄です.本種はカムチャツカとバイカルの材料で記載されたもので,日本では北海道から中部地方の山地から高山帯に棲息し,また中国地方西部の冷温帯にも飛び地状に分布しています.朝鮮半島から沿海州にも広く分布しています. 本種は雄交尾器の形状(太く先端が膨大したphallusや尾角葉の構造)や後腿節の刺毛分布状態がAlpinomyia亜属に類似しており,最終的にはこの亜属に含めるべき種です.Alpinomyia亜属は多数の種が欧州アルプスで分化しており,小数の種が欧州のほかの地域にも生息しています.
雄交尾器の特徴のほかに,翅の翅脈に沿ってかなり暗化することも識別しやすい特徴です.

Re: オドリバエ質問(Rhamphomyia... 投稿者: 投稿日:2007/01/30(Tue) 19:39 No.2965  引用 
アノニモミイア 様、毎回詳細なコメントありがとうございます。

この種類は、亜属も良くわからず難儀しておりました。
引き続きオドリバエについて、よろしくお願い致します。

オドリバエ連打 投稿者: 投稿日:2007/01/29(Mon) 22:02 No.2961  引用 
Rhamphomyia(Calorhamphomyia) longistigmaと思われます。5月上旬に茨城県の標高約630mのブナ帯で採集したました。体長は約7mmです。
よろしくお願い致します。


Re: オドリバエ連打 投稿者: 投稿日:2007/01/29(Mon) 22:06 No.2962  引用 
同じく交尾器です。

 この亜属は交尾器の形状が多様で、オドリバエ入門には御勧めだと思います。


Re: オドリバエ連打 投稿者:アノニモミイア 投稿日:2007/01/30(Tue) 11:20 No.2963  引用 
写真の種は同定されたとおり,Rhamphomyia (Calorhamphomyia) longistigma Frey, 1953の雄です.本種は秋田県八幡平黒湯産の2雄に基づいて記載されたものですが,北海道から中部地方にかけて広く冷温帯樹林から寒温帯樹林に亘って棲息しています.北海道では最も普通のRhamphomyiaの一つです.1961年に伊藤修四郎先生がRhamphomyia (Eorhamphomyia) imminuta Ito, 1961を志賀高原から2雄2雌に基づいて記載されています.先生はR harpago(四国から紀伊半島)とR. longistigmaと比較されていますが,longistigmaとの相違点は,脚や腹部の色彩の相違だけです.R. longistigmaは中部地方に向かって淡色部が拡大する傾向がありまして,imminutaはlongistigmaの色彩上の地理的クラインの一つに過ぎません.

Manual of Diptera of Central A... 投稿者: 投稿日:2007/01/24(Wed) 07:31 No.2956  引用 
昨日、調べ物をしていたら"Manual of Diptera of Central America"というタイトルを見つけました。
 詳細は、"Thompson, F. C., Rotheray, G. E. & Zumbado, M. In Press. Family Syrphidae. In Brown, B.(ed.), Manual of Diptera of Central America"と書かれているので数年程度で発行されるとものと思います。

 中央アメリカも面白そうな昆虫が多数生息しているので、早く眺めて見たいと思います。コスタリカから記録されたビルゲイツハナアブEristalis gatesiも載るはずですね。

こんばんは 投稿者:たえこ 投稿日:2007/01/22(Mon) 20:36 No.2955  引用 
お久しぶりです。
在庫を調べていたら珍しい物を発見しました。
シナヒラタハナバエと言うそうですね。
暖かそうな色をしているので貼って行きます。

キノコバエ類の属の検索の文献紹... 投稿者:バグリッチ 投稿日:2007/01/20(Sat) 18:50 No.2949  引用 
こんちは。
いつもお世話になっており、ありがとうございます。

 キノコバエ類[Mycetophilidae,Keroplatidae,Macroceridae,Sciaridae]の属までの検索が出来る文献(国会図書館などで手に入るものなどがうれしいです)をご紹介いただけましたら 幸いです。
 
 キノコバエ類、軟弱相ですが、色々いるので、面白いです。


Re: キノコバエ類の属の検索の文... 投稿者: 投稿日:2007/01/20(Sat) 23:56 No.2950  引用 
CMPDのFamilies of Sicaroideaではダメですか?

キノコバエは沢山採れますが、殆どが未記載種のようです。
また、属の検索でも結構高倍率でないと見えにくい特徴を使ったりします。

交尾器も、実体顕微鏡ではかなり辛いと思います。

Re: キノコバエ類の属の検索の文... 投稿者:アノニモミイア 投稿日:2007/01/21(Sun) 11:15 No.2951  引用 
キノコバエ類の属の検索表は旧北区のマニュアルのほかに,新北区のマニュアル(Manual of Nearctic Diptera)も有効です.日本列島産は多くの未記載種のみならず未記録属もあり,上記2著の検索表に出てくる属はほとんど日本に分布しています.それに加えて,最近はSciarosoma(一見Sciaridaeに類似した感じのやや太めのもので,初夏に出現),Sciaropota(小さい黒いキノコバエでKeroplatinaeの翅脈をしていますが,脚,特に基節が短く,ネットに入っても翅を屋根型にたたんであまり動かない.春に出現)などの変わった属も日本や台湾から記載されています.また,Aspidioniaという大変小さなEpicyptaに類似した属も日本に2種分布しており,これは中胸背板の前半部の背中線に光沢のある縦の隆起条を持っている特異なものです.
上記の2著でかなりの属はわかりますが,MycetophilinaeのExechiniの諸属はTuomikoskiが多くの属に分割しており,東アジア産のものにこの検索表を使うのは一部困難があります.この族は日本で最も未解明のもので,おびただしい新種,未記載種があります.Mycetophilaも既知種は実際に日本に分布している種の数%にも満たないものです.

Re: キノコバエ類の属の検索の文... 投稿者:アノニモミイア 投稿日:2007/01/21(Sun) 11:53 No.2952  引用 
上左の種はEpicyptaの未記載種のようです.本属は日本から2種記録されていますが,1種は誤記録であり,このほかの10種以上の種が分布し,ほとんどが未記載種です.本属に近いPlaturocyptaは日本では極小数種しかいません.Epyciptaの幼虫は極めて湿潤な状態の朽木(川の水が折々飛沫がかかるようなところとか,地面に落ちて下面に少し隙間があるような)の下面にカビが生じていると,これを食します.幼虫は自分で作った糞のやや柔らかいケースの中に入っていて,蛹化するときはこの数ミリ以下の蛸壺のようなケースの入口に格子のような白い網を吐いて蛹化するという,特異な習性があります.
上右の種はMycetophilaの種で,これに類似した斑紋の種は極めて多数あります.斑紋は安定していて,微妙な相違で種を分けることが可能です.
下左の種もMycetophilaの1種で,これは本属としては極めて特異な斑紋を持ったもので識別容易な種です.これはやや個体数の少ない種です.
下右の種はExechiaの1種です.Cu forkがM forkより先にあること,CがR5より先に伸びないこと,Scが極めて短くて先端がどことも繋がっていないことなどで,属が同定できます.Exechiaは旧北区から70種あまり記録されていますが,日本にも多数の未記載・未記録種が生息しています.
ご参考までに.

Re: キノコバエ類の属の検索の文... 投稿者:アノニモミイア 投稿日:2007/01/21(Sun) 13:19 No.2953  引用 
日本産の種の同定には,ロシア語のKey to the insects of Russia Far East. Vol. VI. Diptera and Siphonaptera. Pt. I (Vladivostok. Dal'naukas. 1999, 665p.(Syrphidaeが入っている巻))に雄交尾器の新しい図がたくさん載っていますので,かなり参考になります.

Re: キノコバエ類の属の検索の文... 投稿者:バグリッチ 投稿日:2007/01/21(Sun) 18:02 No.2954  引用 
市毛さん、アノニモミイアさん、ご教示 本当に ありがとうございます。

 市毛さんのご援助によりCMPDのFamilies of Sicaroideaが見られそうですので、まずはこれを使って頑張ってみようかと思います。
 ゲニは市毛さんの仰るように かなり小さい種が多いので、苦労しそうですが、手持ちの安物の実体顕微鏡を80倍可能なようにしましたので(解像度は悪いですが)どの辺まで行けるか 試してみます。

 アノニモミイアさん、画像種についての詳細までもご教示いただき、ありがたいかぎりです。こんな画像だけで、ここまでわかるとは 驚きです。
 未記載種と教えていただいた上左の種は、翅を二つ折りにした上に、ユスリカのように屋根型にたたんでいたので、はじめはキノコバエとは思いませんでした。
 上右の種は、ご指摘のように類似した斑紋の種をいくつも見ます。斑紋が安定しているとのことですので、今後 注意して集めてみます。
 下左の種は、やや個体数の少ない種とのことですが、意外にも近所ではこの秋から3回くらい採れています。
 下右の種は、この秋には一番たくさんいた種で、ゲニも相対的に大きく特徴的でしたので、添付画像に付けてみます。

 しばらくは、目を慣らすために、いろいろ採って 並べてみて見ます。まずは 属までの同定が目標です。

 また色々ご教示いお願い致します。

ムシヒキアブの1種 投稿者:アノニモミイア 投稿日:2007/01/18(Thu) 02:23 No.2940  引用 
永冨先生任せでムシヒキがわかりません.どなたかこの種の名称を教えてください.宮崎県小林市北部山地で7月上,中旬の採集です.全体,頭部,雄交尾器を別々に添付します.

Re: ムシヒキアブの1種 投稿者:アノニモミイア 投稿日:2007/01/18(Thu) 02:24 No.2941  引用 
頭部です.

Re: ムシヒキアブの1種 投稿者:アノニモミイア 投稿日:2007/01/18(Thu) 02:26 No.2942  引用 
雄交尾器側面です.あまりいい画像ではないのですが,属名だけでも分かればと思います.

Re: ムシヒキアブの1種 投稿者:アノニモミイア 投稿日:2007/01/18(Thu) 02:30 No.2943  引用 
もう一つの種についても名称を教えてください.これも同じく小林市北部山地で7月中旬に採集されたものです.雄はありません.

Re: ムシヒキアブの1種 投稿者: 投稿日:2007/01/18(Thu) 12:53 No.2944  引用 
アノニモミイア様、はじめまして。
双翅目談話会のケンセイと申します。
お役に立つかどうかわかりませんが私の見解を述べさせていただきます。

最初の奴はクシヒゲムシヒキ亜科(Ommatiinae)のOmmatius sp. だと思われます。私も熊本の阿蘇の周辺の調査のときに本種と思われる奴をたくさん採集しました。関東周辺でもたまに採れます。双翅目談話会の同定会の際に春澤さんに聞いたところ、本種のグループは東洋区で繁栄しているグループのため日本の標本だけでの記載は非常に危険であり、東洋区の標本を中心に検討する必要があるため、現状では種名を確定できないとのことでした。

2番目の奴はヒゲボソムシヒキアブ亜科(Stenopogoninae
)のサヤノムシヒキ Scylaticus sayano Nagatomi,1983に近似の別種のような気がしますがあまり自信はありません。

なお、ムシヒキアブについては田川さんのウェブサイト
http://www3.kcn.ne.jp/~tgw/
でいろいろな画像や情報を得ることができますので、見に行かれたらよろしいかと思います。

ケンセイ@生息地:小平市

Re: ムシヒキアブの1種 投稿者:アノニモミイア 投稿日:2007/01/18(Thu) 15:43 No.2945  引用 
ケンセイ様 ムシヒキアブ2種の名称についてご教示有難うございました.ムシヒキアブ図鑑にOmmatius sp.が掲載されているのですが,名称だけで,この仲間が日本でどのようになっているのか全く知らなかったものです.阿蘇でも採集されたとのことで,大変参考になりました.第二の種は脚が全面的に黄色なので,サヤノムシヒキのような感じではあったのですが,図鑑の写真ですと翅が良く見えていないので,どんなものかと思っていました.八重山の種ですし,こちらの標本は翅端が暗色になっていまして,この点が図鑑では分かりにくいところです.採集地でも少ないようで,4年間ほど通った場所ですがこの1頭だけでした.有難うございました.

Re: ムシヒキアブの1種 投稿者:tgw 投稿日:2007/01/18(Thu) 19:28 No.2946  引用 
久しぶりに訪問しました.
ムシヒキアブについての投稿があるとのことでお誘いをいただきましたので、割り込んで申し訳ないですが書き込ませていただきます.
2種目についてですが、これは未記録種です.翅脈の特徴からか埼玉昆虫誌(?)でしたか、それにはOrthogonis sp.と記録されたことがありますが、Orthogonisではないと思います.それ以後長く気になっている種なのですが、なかなか手につきません.一昨年、写真でしか見ていませんが、同種もしくは近似種らしきものが韓国で採集され(♀のみ)、その標本を手に入れたチェコの研究者が新属新種ということで記載しようとしています.♀のみでの記載はやめてほしいとお願いしており、♂が採集されて日本産と比較してから発表されると思います.族の扱いも難しく、Laphriini族の所属にするのかAtomosini族にするのか意見が分かれるほど難解な種です.

Re: ムシヒキアブの1種 投稿者:アノニモミイア 投稿日:2007/01/19(Fri) 11:55 No.2947  引用 
tgwさんコメント有難うございました.第二の種は触角の形状からはLaphriinaeかとも思ったのですが,脚が全面的に黄色なのでサヤノムシヒキに外観的に似ていると思った次第です.本種はすでに日本で雄も採集されているのでしょうか.また,Laphriinaeに属することは確実なのでしょうか.ご連絡いただければありがたいです.
以前に四国のAsiniinaeの論文の別刷をいただいたのですが,あるいはお礼の返事をお出ししていなかったかもしれません.とすれば失礼しました.また,あなたの図鑑は大変有用でありがたいです.

Re: ムシヒキアブの1種 投稿者: 投稿日:2007/01/19(Fri) 22:09 No.2948  引用 
アノニモミイア様
もう25年ほどが経つでしょうか.四国産Asilinaeをまとめる際にはムシヒキアブの獲物を同定していただきありがとうございました.大勢の方の協力をいただいてまとめることができました.その後はしばらくムシヒキから遠ざかっていましたが、このところ少しずつですが関わっています.
さて、この種の♂は国内で採集されています.私の手元にも四国産と本州産のがいくらかあります.すでにデジカメで撮影をしていますので近いうちにホームページにアップしておきます.(久しく更新していません.お役に立てば幸いです)
Atomosini族をAtomosinae亜科と扱う研究者もいますが、Laphriinae亜科でいいと思います.

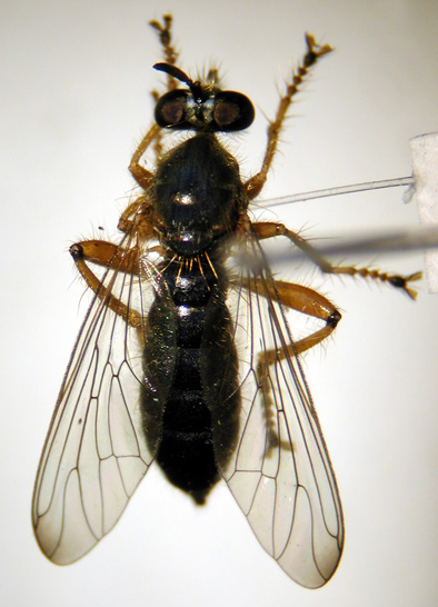
ヤチバエの1種 投稿者: 投稿日:2007/01/15(Mon) 14:25 No.2932  引用 
 新年早々ひどい画像が貼り付けられているので、お口直しに手元にあったヤチバエの画像を貼り付けます。

 まだ、はっきり調べていませんが、結構大型のヤチバエです。水戸市内で7月に採集。体長10mm程です。


Re: ヤチバエの1種 投稿者:バグリッチ 投稿日:2007/01/15(Mon) 22:22 No.2937  引用 
市毛さん、こんちは。

 黄色っぽくて いいヤチバエですね。
 キタヤチバエ属っぽいですが、同定されたら 教えてください。
 このあたり、こちらでは なかなか採れないです。
 

Re: ヤチバエの1種 投稿者:アノニモミイア 投稿日:2007/01/15(Mon) 23:51 No.2938  引用 
多分キイロキタヤチバエTetanocera arrogans Meigen, 1830ではないでしょうか.「日本産水生昆虫」の末吉昌宏のヤチバエ科の検索表を引いてみてください.

Re: ヤチバエの1種 投稿者: 投稿日:2007/01/16(Tue) 11:59 No.2939  引用 
アノニモミイア様、色々なハエについてコメントありがとうございます。

日本産水生昆虫の検索を見ると混乱したのですが、素直にSueyoshi(2001)を見ると、キタヤチバエのようです。

日本産水生昆虫の検索は、属への検索でKey5のpresutural supr-alar setaの有無でつまづきました。文章が逆なんですね。
過去ログを見たらと、この間違いについて猫又さんがコメントしてました。

また、キタヤチバエ属の種への検索で、Key1の「後脚腿節先端に対になる剛毛を2本持つ」でもつまづきました。
Sueyoshi(2001)では、後脚背面前方の剛毛の有無しか問われていないのでキタヤチバエのようです。


相変わらず、アブ科やトビケラの間違いについても正誤表を出していない、東海大学出版には困ります。
特に、案内にミギワバエ科と書いてあったのにも腹が立ちますし、未だにHPにはこのまま載せています。

広告に偽りありで、内容を見た後で即座に返却すれば良かったかな! 消費生活センターにでも苦情を届けます?

[1] [2] [3] [4] [5] [6] [7] [8] [9] [10] [11] [12] [13] [14] [15] [16] [17] [18] [19] [20] [21] [22] [23] [24] [25] [26] [27] [28] [29] [30] [31] [32] [33] [34] [35] [36] [37] [38] [39] [40] [41] [42] [43] [44] [45] [46] [47] [48] [49] [50] [51] [52] [53] [54] [55] [56] [57] [58] [59] [60] [61] [62] [63] [64] [65] [66] [67] [68] [69] [70] [71] [72] [73] [74] [75] [76] [77] [78] [79] [80] [81] [82] [83] [84] [85] [86] [87] [88] [89] [90] [91] [92] [93] [94] [95] [96] [97] [98] [99] [100] [101] [102] [103] [104] [105] [106] [107] [108] [109] [110] [111] [112] [113] [114] [115] [116] [117] [118] [119] [120] [121] [122] [123] [124] [125] [126] [127] [128] [129] [130] [131] [132] [133] [134] [135] [136] [137] [138] [139] [140] [141] [142] [143] [144] [145] [146] [147] [148] [149] [150] [151] [152] [153] [154] [155] [156] [157] [158] [159] [160] [161] [162] [163] [164] [165] [166] [167] [168] [169] [170] [171] [172] [173] [174] [175] [176] [177] [178] [179] [180] [181] [182] [183] [184] [185] [186] [187] [188] [189] [190] [191] [192] [193] [194] [195] [196] [197] [198] [199] [200] [201] [202] [203] [204] [205] [206] [207] [208] [209] [210] [211] [212] [213] [214] [215] [216] [217] [218] [219] [220] [221] [222] [223] [224] [225] [226] [227]

処理 記事No 暗証キー

- Joyful Note -
- Antispam Version -